Save
Ask
Tour
Hide
$27,000
New Listing
21 .93 Acml Hot Mineral Spa RoadNiland, CA 92257
For Sale|Land|Active
Subdivision:
Not Applicable-1
County:
Imperial
Listed by Michelle Gold of Desert Gold Properties, Inc. [email protected]




Save
Ask
Tour
Hide
Mortgage Calculator
Monthly Payment (Est.)
$123Calculator powered by Showcase IDX, a Constellation1 Company. Copyright ©2026 Information is deemed reliable but not guaranteed.
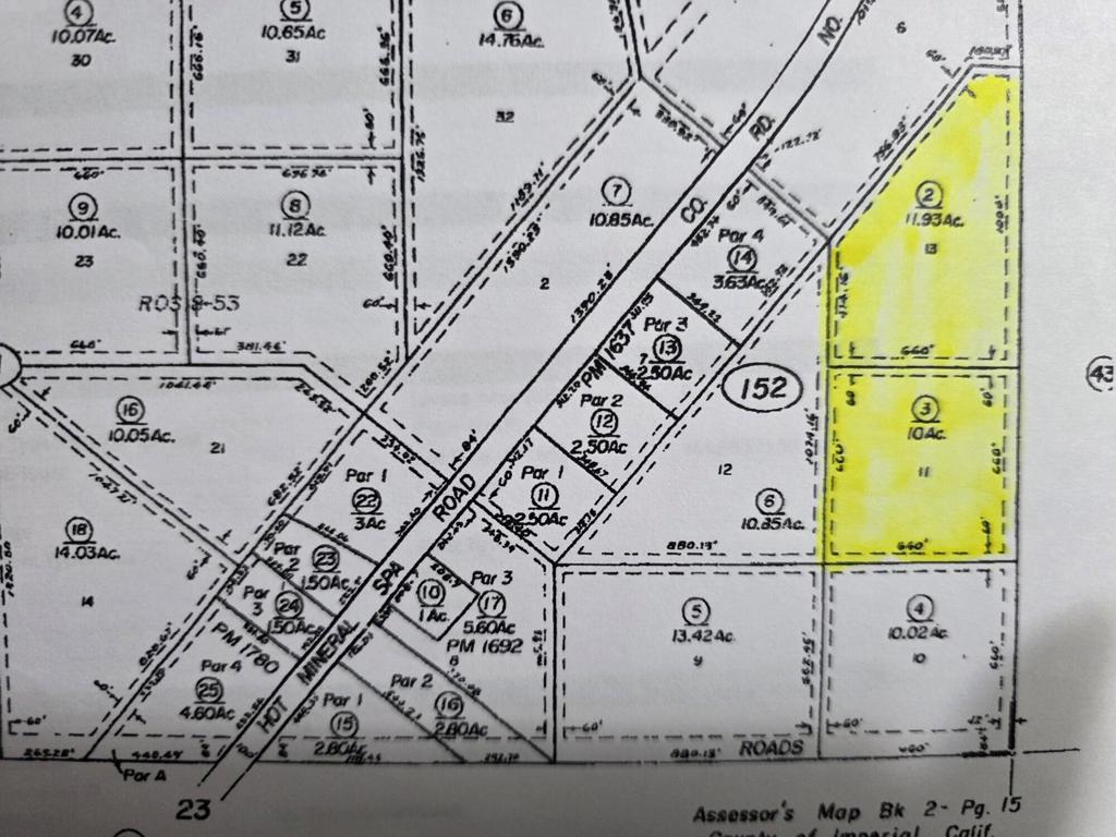
Niland, Ca. 21.93 acres More or Less off of Hot Mineral Spa Rd. Located on East side of Hot Mineral Spa Rd, South of Spa Rd. Zoned S-1-RE. APN 002-152-002-000 11.59 ac M/L gps Lat 33.368124 / Long -115.683277 and APN 002-152-003-000 9.83 ac M/L Lat 33.386081 Long -115.683442. Located East of Bombay Beach. Build your dream ranch or buy and hold for investment. Area known for Hot Mineral Spas / Waters and gorgeous winter weather.
Save
Ask
Tour
Hide
Listing Snapshot
Price
$27,000
Days On Site
0 Days
Bedrooms
N/A
Inside Area (SqFt)
N/A
Total Baths
N/A
Full Baths
N/A
Partial Baths
N/A
Lot Size
0.0005 Acres
Year Built
N/A
MLS® Number
219142975DA
Status
Active
Property Tax
N/A
HOA/Condo/Coop Fees
N/A
Sq Ft Source
N/A
Friends & Family
Recent Activity
| 4 hours ago | Listing updated with changes from the MLS® | |
| 12 hours ago | Listing first seen on site |
General Features
Acres
0.0005
Land Lease
No
Sewer
Unknown
Special Circumstances
Standard
Save
Ask
Tour
Hide
Exterior Features
View
DesertMountain(s)Panoramic
Waterview
DesertMountain(s)Panoramic
Community Features
MLS Area
NLND - Niland
This information is for your personal, non-commercial use and may not be used for any purpose other than to identify prospective properties you may be interested in purchasing. The display of MLS data is usually deemed reliable but is NOT guaranteed accurate by the MLS. Buyers are responsible for verifying the accuracy of all information and should investigate the data themselves or retain appropriate professionals. Information from sources other than the Listing Agent may have been included in the MLS data. Unless otherwise specified in writing, the Broker/Agent has not and will not verify any information obtained from other sources. The Broker/Agent providing the information contained herein may or may not have been the Listing and/or Selling Agent.
Neighborhood & Commute
Source: Walkscore
Save
Ask
Tour
Hide

Did you know? You can invite friends and family to your search. They can join your search, rate and discuss listings with you.